Ссылки для упрощенного доступа

4 декабря 2025, Бишкекское время 13:41

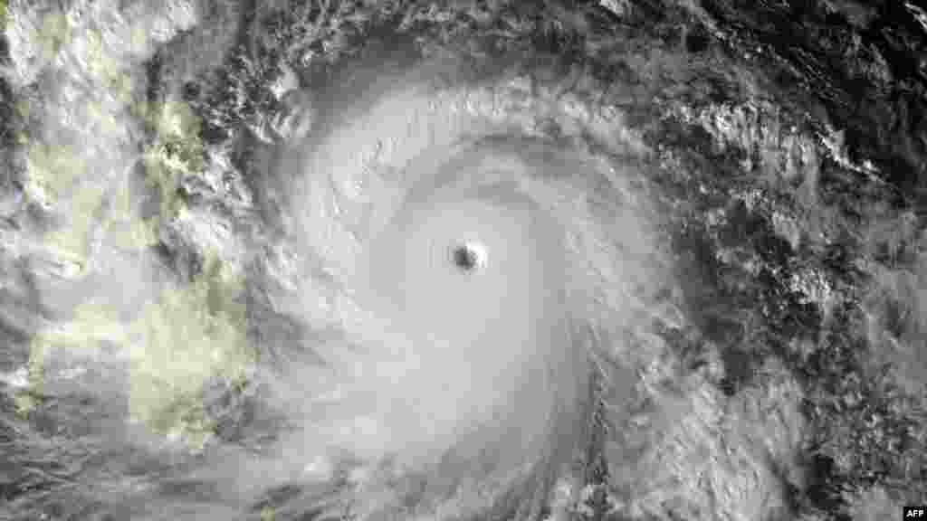
Последствия супертайфуна "Хайян"

В пострадавших районах Филиппин сложилась тяжелейшая гуманитарная ситуация. Власти пока не в состоянии обеспечить необходимым всех, кто остался без пищи, питьевой воды и крова. "Хайян" стал самым мощным тайфуном в мире в этом году и одним из самых сильных за все время метеорологических наблюдений. Это самое разрушительное стихийное бедствие в истории Филиппин.

XS
SM
MD
LG